En riesgo, 400 mil personas

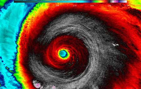
Imagen satelital infrarroja del huracán Patricia tomada ayer por la Nasa horas antes de que impactara en las inmediaciones de las bahías de Tenacatita, Cuastecomate y Navidad, Jalisco. El meteoro entró al país a las 17:40 horas con categoría 5, la mayor en la escala Saffir-Simpson, y con un ojo de 10 kilómetros de diámetro, golpeando costas y comunidades de Colima, Nayarit y Jalisco, con oleajes que superaron 12 metros de altura. El presidente de Estados Unidos, Barack Obama, ofrece
apoyo al pueblo de MéxicoFoto Reuters
Entra al país con vientos de 325 km/hora y se degrada a categoría 4
Desalojan a 35 mil pobladores y a más de 15 mil turistas de las entidades afectadas
A. Sánchez, R. E. Vargas, S. González y corresponsales
Entre 2013 y 2014 el número de denuncias pasó de 1,165 a 2 mil 403, afirma
Pendientes en la PGR, mil 600 solicitudes de examen forense a
posibles víctimas
Si la llegada de las fuerzas armadas hace que la gente se vaya de Tamazula,
ni modo
La fortuna de Amancio Ortega superó un momento la de Bill Gates en los mercados
Ancianos y activistas que se oponen a Moreno Valle son encarcelados, denuncia comité
Contraportada


En asamblea adelantada, el dirigente y su comité fueron relectos por
unanimidad
Cuando acabe el periodo tendrá 100 años; sería más longevo que sus antecesores
Acusan a Cunha ante la fiscalía de
usar su cargopara frenar denuncias en su contra

Anuncia la priísta Cinthya López recorte a su presupuesto
Presidenta de la comisión educativa, dice que la universidad es
semillero político
No se permitirá a Morena abrir las cuatro escuelas superiores que anunció, advierte
En nivel medio superior
el problema no es de falta de espacios, sino de deserción
Ángel Bolaños

Con rememoraciones a sus orígenes en el barrio habanero de Mantilla y de su deporte favorito, el beisbol, el escritor cubano Leonardo Padura (derecha) agradeció a sus
tres patrias: Cuba, el idioma español y el trabajo, al recibir el Premio Princesa de Asturias de las Letras. El novelista compartió escenario con figuras de talla internacional como el cineasta Francis Ford Coppola (izquierda) y el filósofo Emilio Lledó, quienes también recibieron el galardón de manos del rey Felipe VI en el teatro Campoamor de Oviedo, España. Afuera del recinto diversos colectivos sociales protestaban por
la pompa y el despilfarroque significan la ceremonia y los premios Foto Xinhua















